Нова гаряча точка Землі: найактивніший вулкан ось-ось вибухне і викине 40 км лави
Фото: морская губка | Вулкан Аксіал може вивергнутися в будь-який момент
На північному заході Тихого океану розташований величезний вулкан, і всі ознаки вказують на те, що він ось-ось вибухне. Результатом стане потужне виверження з лавою, що сягає 40 кілометрів, і її напрямок невідомий.
Про це пише IFLScience.
Дослідники також вважають, що виверження великого підводного вулкана буде супроводжуватися гучними та оглушливими вибухами, а також колосальним порушенням навколишньої екології.
У Фокус. Технології з’явився свій Telegram-канал. Підписуйтесь, щоб не пропускати найсвіжіші та найзахопливіші новини зі світу науки!
Де захований найактивніший активний вулканічними
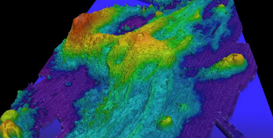
Підводна гора Аксіал — один із найактивніших вулканів на північному заході Тихого океану, але є вагома причина, через яку про неї мало відомо: гора розташована за 480 кілометрів на захід від континентальної частини США, а також приблизно за 1,5 кілометра нижче від неї.
Відомо, що Аксіал також є наймолодшим у ланцюзі підводних гір Кобб-Ейкельберг, частиною якого він є. Таке положення є результатом тектонічних рухів над так званою “гарячою точкою” — ділянкою, де мантія Землі незвично гаряча порівняно з її оточенням. У міру того як тектонічні плити рухаються поверхнею планети, ці гарячі точки залишаються на місці, створюючи на своєму шляху ланцюжок вулканів.
Нова гаряча точка Землі
Є ще одна важлива деталь: підводна гора Аксіал також розташована на вершині хребта Хуан-де-Фука, де зустрічаються Тихоокеанська і Хуан-де-Фука тектонічні плити. Нині тектонічні плити віддаляються одна від одної, оскільки остання занурюється під Північноамериканську плиту, змушуючи нове морське дно вибиватися з магми під літосферою.
За словами професора Школи океанографії Вашингтонського університету Вільяма Вілкока, цей тип вулканів змушує вчених хвилюватися, оскільки є “справжньою гарячою точкою”, а сам вулкан є доволі великим і височіє на 1097 метрів над морським дном.
Вершина, розділена хребтом Хуан-де-Фука, відзначена великою кальдерою, де магматична камера обвалилася під час кількох вивержень. За словами вчених, таке поєднання особливостей, розташованих на вершині хребта, зустрічається нечасто.
Кальдера підводної гори Аксіал являє собою гідротермальне джерело з температурою понад 370 °C, що робить його одним із найекстремальніших середовищ на планеті. І все ж, життя не чуже цьому місцю: дослідники виявили, що вершина підводної гори є домівкою для мікробів, які живуть коштом розчинених вулканічних газів. Тут зустрічаються такі види, як трубчасті черв’яки й краби, а також деякі види восьминогів.
Ознаки вказують на те, що підводна гора може вивергнутися в будь-який момент Фото: WHOI
Вулкан за крок до виверження
Підводна гора Аксіал — величезна, активна, екологічно різноманітна, дивної форми й з унікальним розташуванням. Однак усе це не є причиною того, чому вона опинилася в новинах — дані спостережень свідчать про те, що один із найактивніших вулканів планети, схоже, готується вивергнутися.
За словами геофізика з Університету штату Орегон Вільяма Чедвіка, поточні тенденції справді вказують на те, що Аксіал буде готовий до виверження, коли досягне порогу інфляції 2015 року, наше поточне вікно прогнозу виверження розташоване між теперішнім моментом і кінцем 2025 року.
У листопаді минулого року поверхня вулкана роздулася майже до тих самих розмірів, що й перед попереднім виверженням у 2015 році — це вказує на те, що магма всередині підводної гори може досягти точки вибуху в будь-який момент. Деякі дослідники висунули гіпотезу, що величина інфляції може передбачити, коли вулкан вивергнеться — якщо вони мають рацію, це дуже бентежно, тому що Аксіал уже досяг пікової точки. Простими словами, він дійсно може вивергнутися в будь-який момент.
Що станеться, якщо Аксіал вивергнеться
Хороші новини, якщо ви не океанограф або геофізик, ймовірно, ви не помітите, коли підводний вулкан вивергнеться. На суші не буде ніяких цунамі або великих землетрусів; ніяких димових шлейфів і ніякого ризику для життя. Водночас учені зазначають, що для них виверження підводного вулкана стане неймовірно “цікавим часом” для спостережень.
Раніше Фокус писав про те, що перша у світі підводна вулканічна обсерваторія готується вивергнутися: коли це станеться.
![]()
